Техпарад

Прямое свидетельство
Исследователь из NASA Джереми Харбек проводил аэрофотосъемку в рамках программы мониторинга полярных льдов Operation Icebridge и сфотографировал этот геометрический айсберг, моментально ставший звездой интернета.
Большое внимание публики заставило ученых детальнее разобраться в происхождении и предыстории ледяного прямоугольника. Снимки, сделанные с орбиты спутниками Landsat-8 и Sentinel-1, показали, что он откололся от ледника Ларсена С еще в ноябре 2017 года – вскоре после того, как тот потерял куда более крупный фрагмент А-68, ставший одним из самых массивных айсбергов в истории наблюдений. Поначалу четырехкилометровый обломок имел далеко не такую ровную форму, но постепенно приобрел ее, сталкиваясь с другими айсбергами, разламываясь и обтирая о них бока. Небольшой, но почти правильный прямоугольник стал символом гибели шельфового ледника Ларсена. Некогда состоявший из трех крупных ледников, он потерял два из них, и оставшийся Ларсен С продолжает разрушаться: только А-68 сократил его площадь сразу на 12%.

Сеятели морей
Cкелеты коралловых полипов складывают целые острова и рифы – одни из самых пышных и разнообразных экосистем на Земле. Однако рост температуры и кислотности мирового океана приводит к тому, что полипы теряют симбиотические водоросли и гибнут, а опустевшие, обесцветившиеся известковые скелеты понемногу растворяются в воде. Состояние Большого Барьерного рифа вызывает настолько серьезное беспокойство, что в 2016 году австралийские ученые собрали образцы половых клеток местных полипов. В тщательно контролируемых условиях из них планируется вырастить сотни миллионов личинок, чтобы снова «засеять» риф с помощью небольших беспилотных субмарин.


Красное на черном
B созвездии Стрельца в 26 тыс. световых лет от нас небольшая звезда S0-2 крутится вокруг невидимого объекта массой в 4,14 млн солнц. Принято считать, что этот объект – Стрелец A* – сверхмассивная черная дыра, сердце нашей Галактики. Когда S0-2 совершала очередное сближение с ней и выбросила серию вспышек, их удалось наблюдать с помощью телескопа VLT. Этот же инструмент помог различить и выбросы инфракрасного излучения из непосредственных окрестностей Стрельца А*, от потоков плазмы, которые закручиваются у самого горизонта событий на скорости до 30% световой. Все эти эффекты предсказывает теория относительности для сверхмассивной черной дыры соответствующей массы, поэтому находки VLT стали новым свидетельством в пользу того, что она действительно существует.


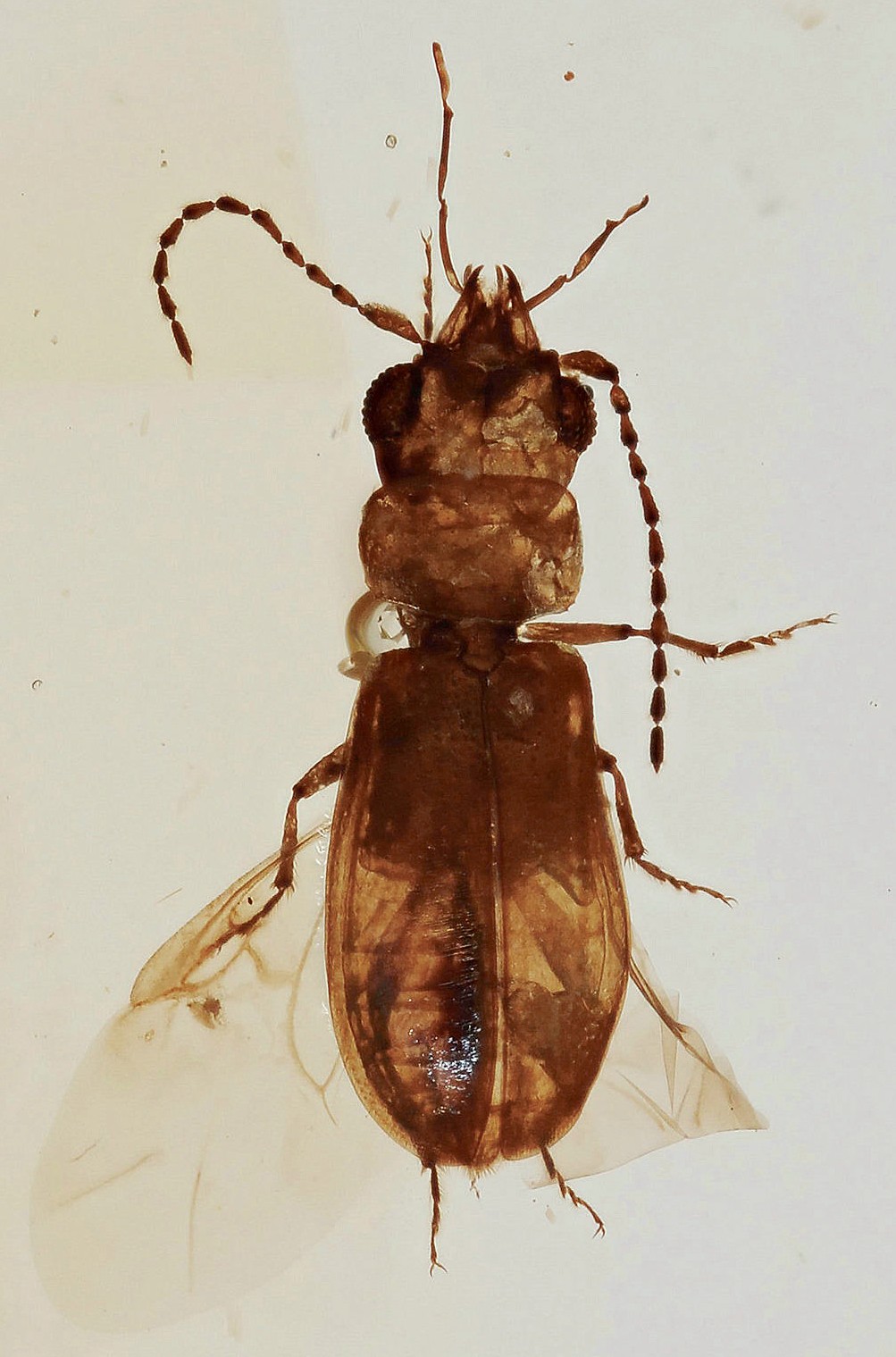
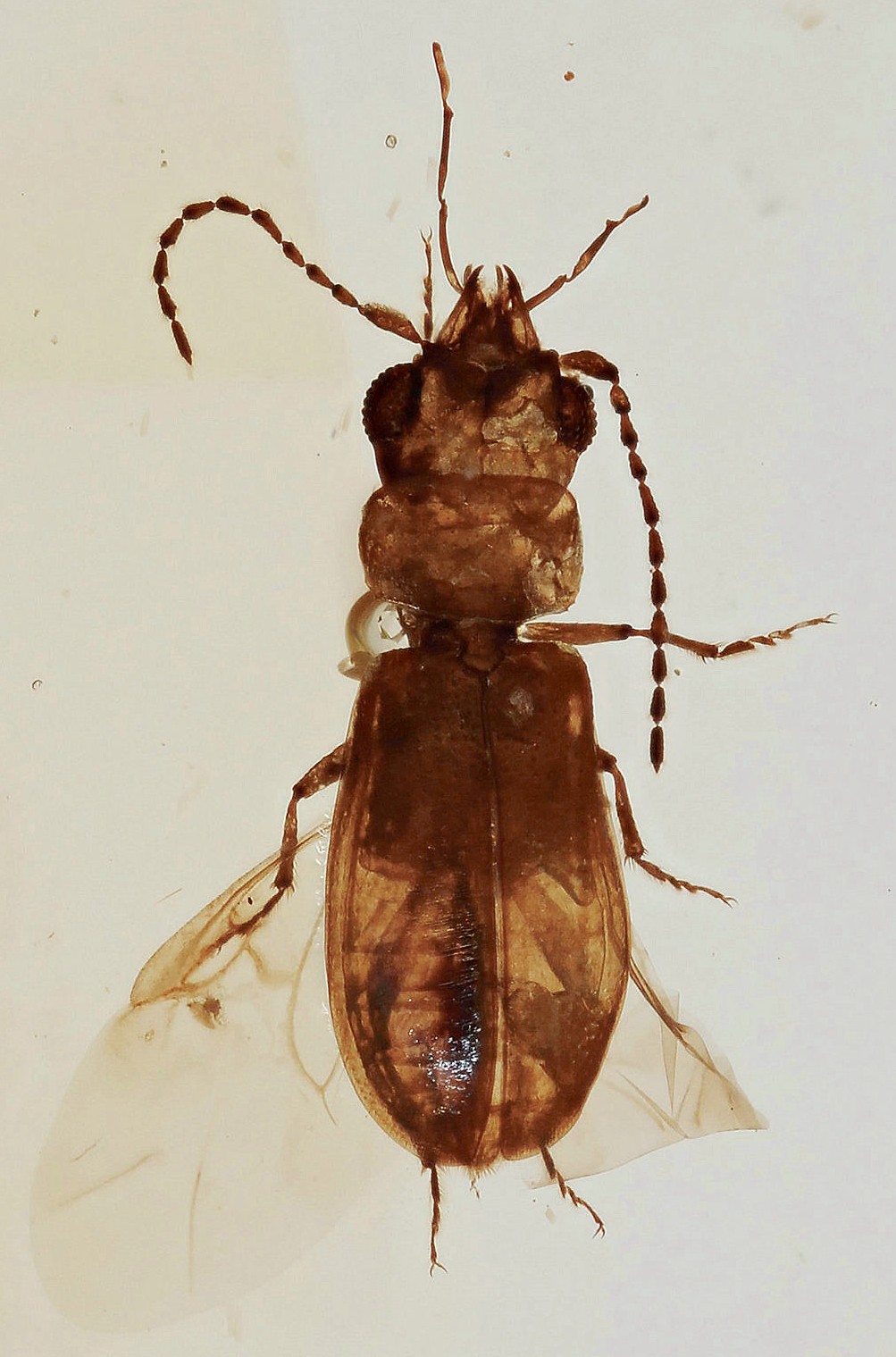
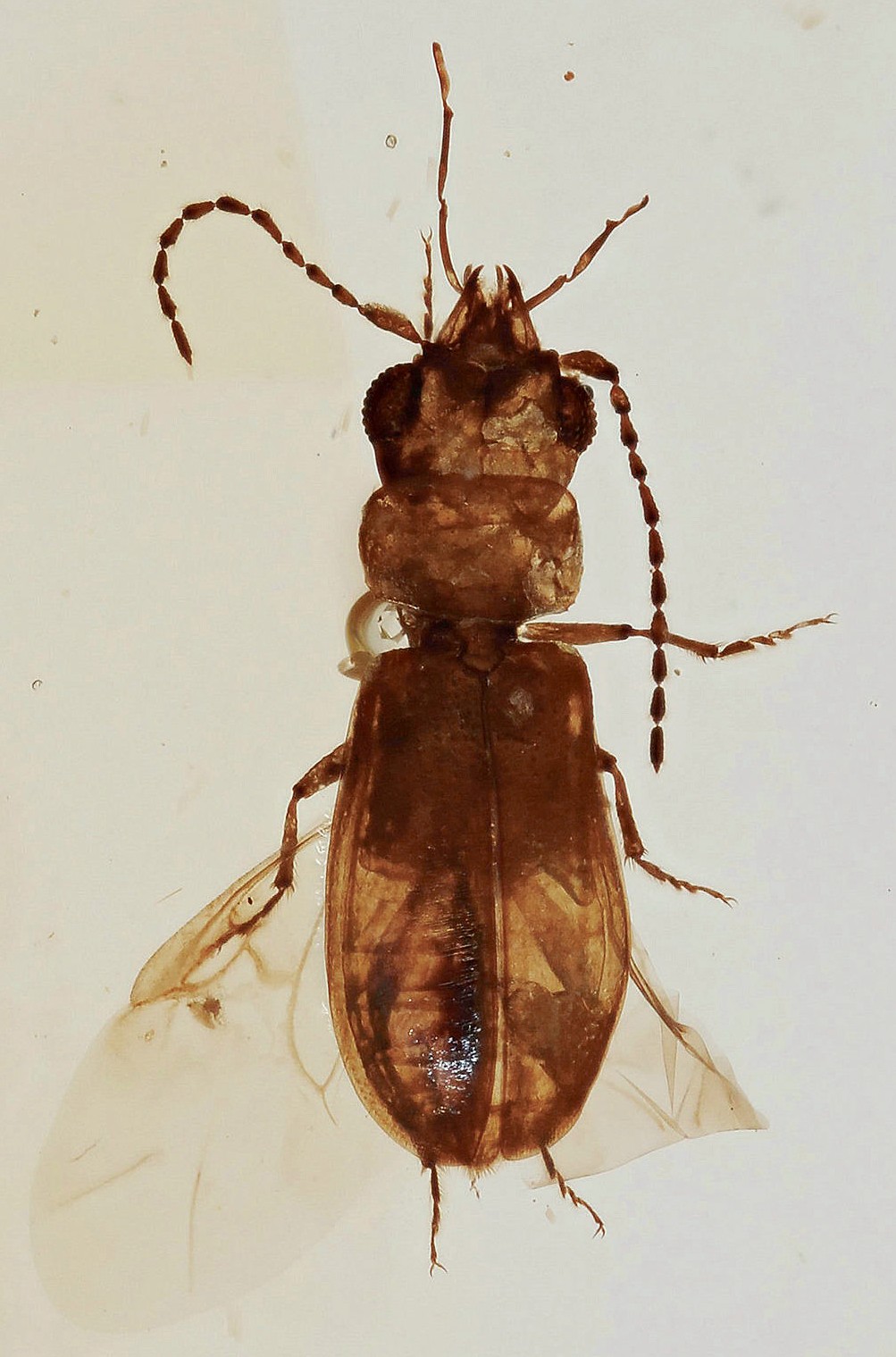
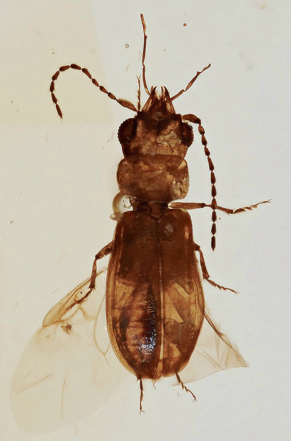
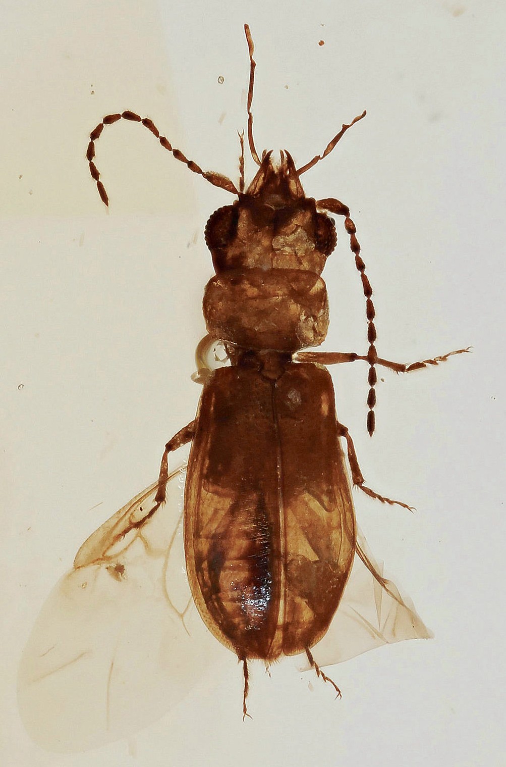
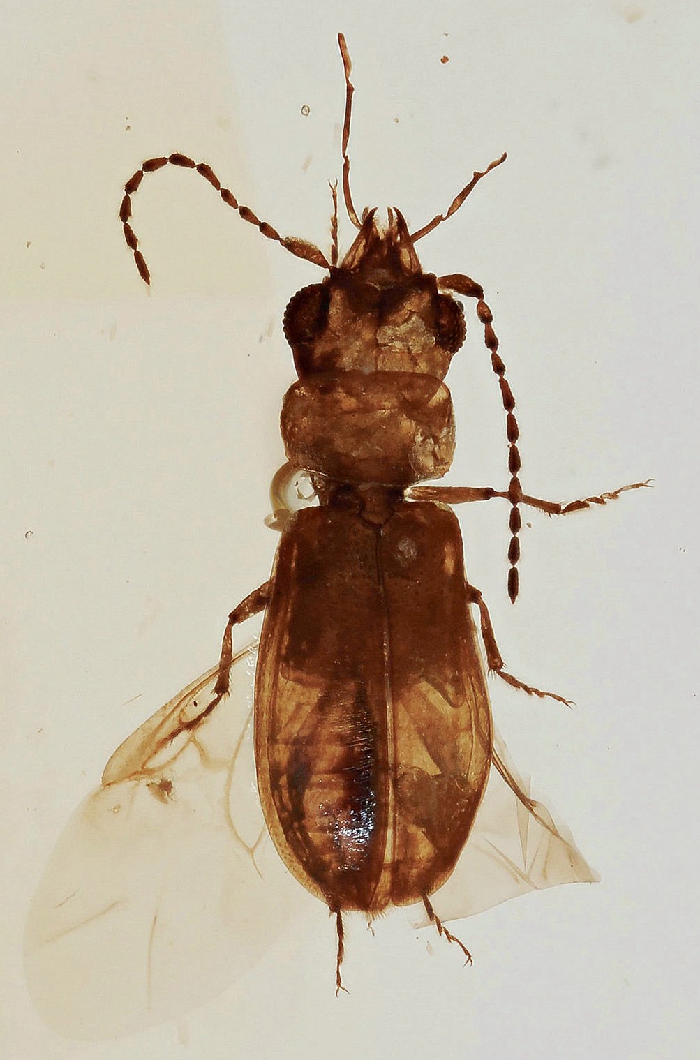
Жук, янтарь и все-все-все
Насекомые-опылители жизненно необходимы большинству цветковых растений, однако появились они задолго до того, как раскрылся первый цветок. Саговниковые, которые сегодня произрастают лишь во влажных тропических регионах, некогда были куда более многочисленными и распространенными и опылялись насекомыми. Наглядным свидетельством этому стал уникальный образец, обнаруженный в знаменитых ископаемых отложениях на территории Мьянмы. На этот раз зафиксированная янтарем картина оказалась особенно красноречивой. В основании челюстей жучка Boganiidae ученые рассмотрели характерный для всего семейства орган, служащий для сбора пыльцы, а рядом – и сами ее частицы, упавшие с древнего саговника больше 99 млн лет назад, когда на Земле еще царили динозавры, а примитивные цветковые только начали распространяться по планете.
