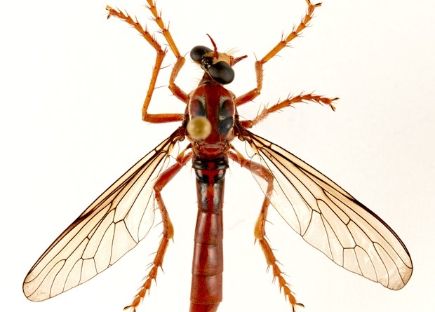
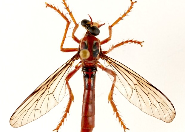
Хищную муху из Австралии назвали в честь Дэдпула

Четыре вида австралийских мух-ктырей получили имена в честь персонажей вселенной Marvel: Дэдпула, Тора, Локи и Черной Вдовы. В названии еще одного вида увековечили память знаменитого автора комиксов Стэна Ли. Как сообщается на сайте Государственного объединения научных и прикладных исследований Австралии (CSIRO), такие названия помогут привлечь внимание общественности к новым открытиям и экологическим проблемам. Наряду с «супергеройскими» мухами, за минувший год специалисты CSIRO описали более 150 видов насекомых и других живых существ.
Ученые нередко называют новые виды живых организмов в честь знаменитостей и даже вымышленных персонажей. Это позволяет привлечь к открытиям внимание общественности, а также отражает личные симпатии и интересы исследователей. Только за недавнее время в зоологических справочниках были увековечены имена Виктора Цоя, Егора Летова, Греты Тунберг и даже сооснователя Хогвартса Салазара Слизерина.
Специалисты из Государственного объединения научных и прикладных исследований Австралии (CSIRO) не смогли остаться в стороне от этой тенденции. За прошедший год они описали на территории континента и в омывающих его водах более 150 неизвестных науке видов и уточнили систематическое положение некоторых уже известных. Часть новых видов получила необычные имена.
